Viime vuoden maaliskuussa kerroin, että olin saanut riesakseni ripsiäisiä (Thysanoptera). Ne olivat luultavasti peräisin kahdesta kesän ulkona kasvaneesta chilistä, jotka olin syksyllä tuonut sisälle ja leikannut boncheiksi (=bonsaiksi muotoiltu chili). Luulin onnistuneeni hävittämään ne, mutta niin ei ollut.
Sittemmin löysin ripsiäisiä myös uusista chilintaimista, jotka olivat samassa sisäkasvihuoneessa bonchien kanssa. Yritin päästä niistä eroon pesemällä bonchit ja taimet sinnikkäästi useita kertoja peräkkäin muutaman päivän välein. Pienemmän bonchin heitin melkein alkuunsa kompostiin, kun siinä ripsiäisiä näkyi eniten. Aina kuitenkin jostain löytyi uusi nymfi, ja lopulta tilasin Tarhurin Avusta ripsiäispetopunkkeja.

Mielestäni petopunkit hoitivat työnsä hyvin, enkä enää nähnyt aikuisia ripsiäisiä tai niiden nymfejä missään. Isompi bonchi jäi sisäkasvihuoneeseen, ja chilit kasvoivat koko kesän hienosti ulkona ja omassa kasvihuoneessaan puutarhassa.
Olin ihastunut boncheihin ja kesällä laitoin siemenestä kasvamaan kaksi uutta chiliä varta vasten boncheja ajatellen. Vahingosta viisastuneena en vienyt niitä missään vaiheessa ulos, vaan pidin niitä sisäkasvihuoneessa. Enkä laittanut sinne mitään muutakaan kuin itse sisällä kylvämääni.
Kaikki hyvin siis? Ehei. Tällä viikolla aloin tutkia kolmea bochiani luupin kanssa, kun niiden lehdet näyttivät mielestäni paikoin oudoilta. Ja ripsiäisiähän niistä jälleen löytyi… Eli siihen viime talvena säästämääni ja puhtaaksi luulemaani bonchiin oli ilmeisesti kuitenkin jäänyt joku elävä pirulainen. Kuukausien myötä kanta oli sitten vahvistunut ja levinnyt niihin uusiinkin boncheihin. Lähemmässä tarkastelussa myös sisäkasvihuoneessa olevissa yrteissä näkyi lehtivioitusta.
Tällä kertaa päätin turvautua äärimmäiseen ratkaisuun: heitin joka ikisen sisäkasvihuoneessa kasvaneen kasvin kompostiin. Mukaan lukien viikko sitten kylvämäni ja juuri pintaan nousseet tomaatin taimet ja jopa itämättömät chilin kylvökset. Koko kasvihuone aivan tyhjäksi.
Imuroin kasvihuoneen ja pyyhin kaikki pinnat. Kysyin neuvoa myös Facebookin Puutarhan parhaaksi -ryhmästä. Ryhmän ylläpitäjä, arvostamani biologi Leena Luoto antoi vinkin viedä koko kasvihuone pakkaseen, jolloin lämpötilan nopea vaihtelu tappaa rakenteissa mahdollisesti lymyävät yksilöt. Seurasin neuvoa ja kasvihuone vietti eilisen päivän ulkona -18 asteessa.
Mutta ei tässä vielä kaikki. Sisäkasvihuoneen vieressä on ollut iso kentiapalmu. Se on kasvanut melko hyvin, mutta samaan aikaan siinä on ollut paljon kuivia lehtiä ja lähemmässä tarkastelussa se on alkanut näyttää melko ränsistyneeltä. Tutkin sitäkin luupilla, mutta en saanut täyttä varmuutta, onko siinä ötököitä vai ei. Joka tapauksessa päätin nyt pelata varman päälle ja kentiapalmukin sai lähdön.


Hävityksen kauhistus eli kuvat ennen ja jälkeen ripsiäissiivouksen.
Aikaisemmin niin vehreä olohuoneen nurkkaus on nyt melko apean näköinen. Mutta eiköhän se tästä vielä iloksi muutu. Microdwarfit ja chilin siemenetkin kylvin jo uudelleen.
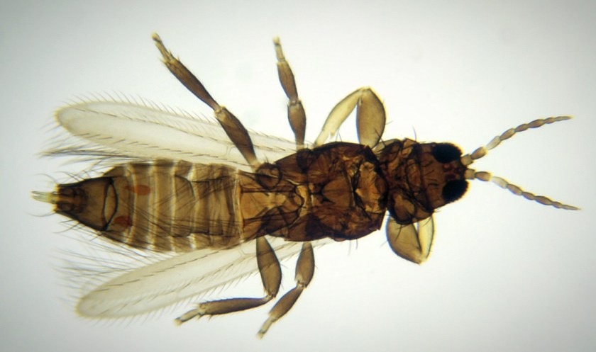
Sivun iso pääkuva ripsiäisestä: Luis Fernández García, CC BY-SA 2.5 ES, Wikimedia Commons

